近年来微纳塑料已逐渐成为全球性的污染问题。微纳塑料在环境中普遍存在,几乎对所有生命体构成潜在的健康风险。人类和动物很容易通过饮食途径意外摄入微纳塑料,持续的摄入会导致其在肠道系统中形成累积。目前关于微纳塑料对高等生物肠道毒性的研究,尤其是持续暴露后对肠道屏障和肠道免疫系统的影响仍缺乏认识。因此了解微纳塑料长期经口暴露对哺乳动物肠道系统的毒性效应及其毒理机制十分重要。
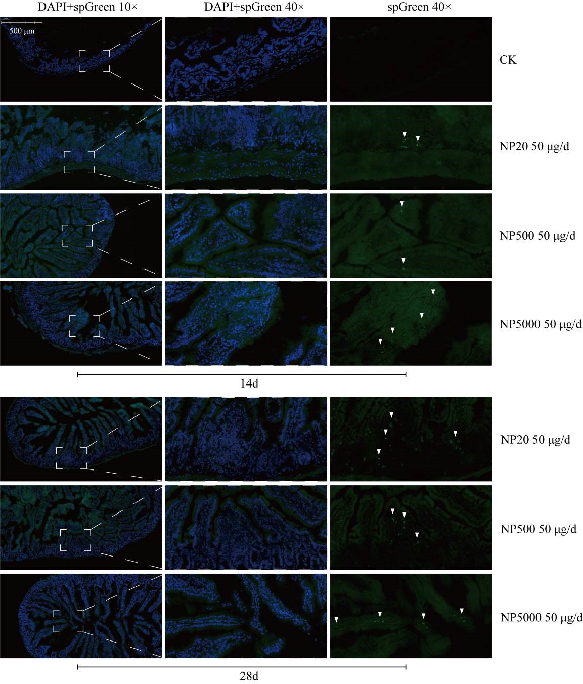
中国科学院沈阳应用生态研究所微生物资源与生态组徐明恺研究员团队,依托“中国科学院污染生态与环境工程重点实验室”和“辽宁省超级抗原研究重点实验室”科研平台,在该领域进行了探索性研究。团队通过构建小鼠灌胃经口暴露模型,分析聚苯乙烯微纳塑料持续暴露28天对小鼠肠道系统的影响。研究发现,经口暴露的微纳塑料可在肠道内形成累积,并显著改变肠道微生物的种群结构,导致潜在致病菌丰度显著增加,有益菌丰度显著降低,并干扰了肠道菌的短链脂肪酸的代谢特征。微纳塑料还可诱发肠道炎症,降低了肠上皮紧密连接蛋白和肠粘膜蛋白的表达,破坏肠道屏障功能。此外,微纳塑料抑制了肠系膜淋巴结中 T 细胞的分化,减少了肠道中分泌型免疫球蛋白A的分泌,干扰肠道免疫功能,增加致病菌感染的风险。研究还发现,粒径和暴露时间是决定微纳塑料对小鼠肠道毒性特征的关键因素。
该成果以“Continuous oral exposure to micro- and nanoplastics induced gut microbiota dysbiosis, intestinal barrier and immune dysfunction in adult mice”为题于2023年发表在环境领域期刊Environment International (一区TOP,即时IF = 11.8)。博士研究生张致淳为第一作者,徐明恺研究员为通讯作者,共同作者还包括南开大学的汪磊教授等。该研究得到国家自然科学基金和沈阳市自然科学基金的支持。

图1. 聚苯乙烯微纳塑料在小鼠肠道组织中的累积

图2. 聚苯乙烯微纳塑料对小鼠肠道屏障和肠道免疫的危害




